Prodej stavebního pozemku – v obci Roštění u Holešova

Roštění, 2

2 100,- za m²

Alena Hlavinková

Telefon

Telefon:

731 618 472

Kontaktovat

Popis nemovitosti

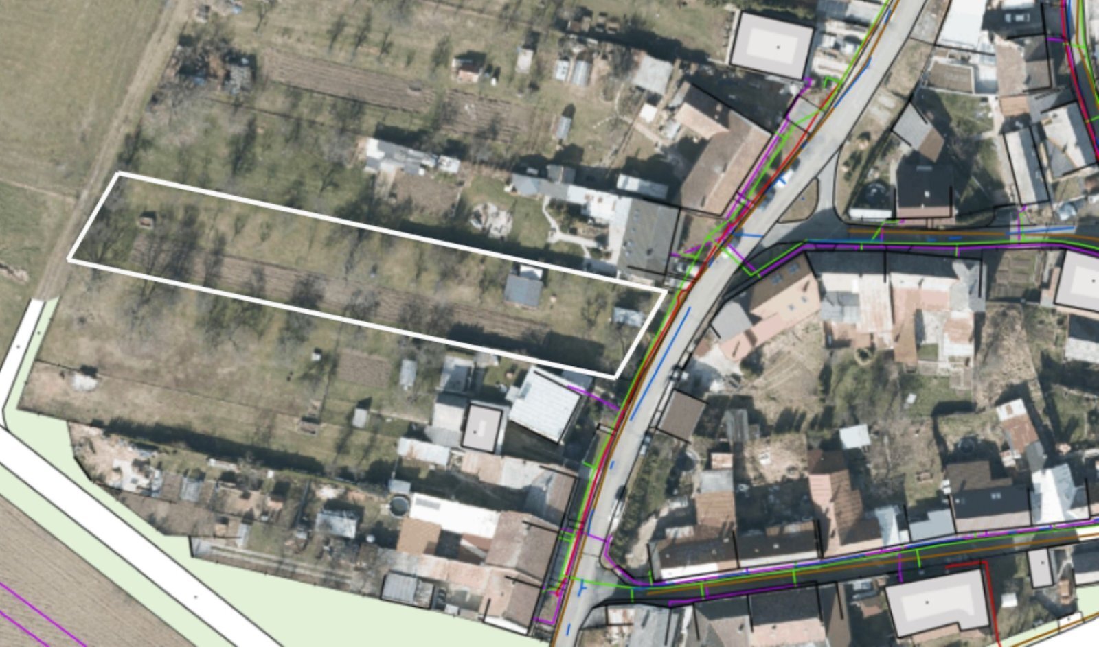
Nabízíme prostorný stavební pozemek o celkové ploše 1 825 m² v klidné a žádané obci Roštění. Pozemek je vhodný pro výstavbu rodinného domu (šířka pozemku 18m, délka 105m), inženýrské sítě (elektřina, voda, plyn) jsou vedeny přímo před pozemkem.

Základní informace:
- plocha: 1 825 m²
- šířka pozemku 18 m, délka 105 m
- sítě: vedeny před pozemkem

O obci:
Obec Roštění leží ve Zlínském kraji, v okrese Kroměříž, 7 km severozápadně od města Holešov a 14 km severovýchodně od Kroměříže.

Občanská vybavenost:
- mateřská škola, knihovna, sportovní areál a víceúčelové hřiště, bohatý společenský život
- 2 obchody a restaurace
- dopravní spojení zajišťují pravidelné autobusové linky do okolních měst
- další kompletní občanskou vybavenost najdete v nedalekém Holešově a Kroměříži

Neváhejte mě kontaktovat pro více informací nebo domluvení osobní prohlídky. Ráda vám pozemek osobně představím.
Těším se na vás, Alena Hlavinková.

Subtyp nemovitosti

Bydlení

Město

Roštění

Operace

Prodej

Plocha pozemku

1825 m2

Typ nemovitosti

Pozemek

Umístění objektu

Klidná část obce

ID nemovitosti

26008

Mapa umístění nemovitosti